红与白,争艳还是共舞?BY2这组刷屏的“双生花”闺蜜照,用极致对比色拍出了女性情谊最动人的张力——原来真正的闺蜜,既是彼此的镜子,也是互补的光影。图片...
2025-10-30 0
这几天,北大西洋出了一个非常颠的飓风:梅利莎。其实梅利莎刚刚生成的时候我们也知道它会比较颠,但没想到它会这么颠。梅利莎的颠,不仅体现在它的极端强度上,更体现在它一系列突破了传统气象经验、气象认知的特点上。
首先,梅利莎是一个极端强的飓风。在它登陆牙买加之前数小时,美国飓风探测飞机曾多次飞入梅利莎的飓风眼,测到了飓风中心最低气压892百帕,这是北大西洋历史第三低气压,仅次于2005年飓风威尔玛、1988年飓风吉尔伯特。
随后,梅利莎带着非常清晰的飓风眼,以巅峰强度登陆牙买加西部,从而成为牙买加最强登陆飓风,也和1935年“劳动日飓风”打平,成为1851年以来西半球气压最低的登陆飓风,是2020年超强台风天鹅以来,全球最强的登陆热带气旋,也超过了桦加沙,成为2025年迄今的全球风王。
其次,梅利莎是一个极端慢的飓风。在全球所有的顶级台风、飓风中,从来没有一个风暴像梅利莎这么慢。从牙买加东南侧到西南侧,300多公里的路,它走了三天三夜,而且多次在洋面上陷于停滞状态,一动不动。
第三,梅利莎是一个极端稳定的飓风。特别强的台风、飓风都有着巨大的耗能能力,能在很短时间内把海洋热量榨干,把深海的冷海水翻出来,从而把自己搞崩。2018年超强台风潭美在巴士海峡以东仅仅逗留两天,就把自己从17级玩成了14级;
而梅利莎在牙买加以南逗留了三天,在强度比潭美还要强的情况下,不仅不减弱,还持续增强,而且一直增强到了登陆牙买加前的最后一刻,如此情况是前所未有的。
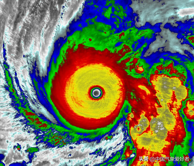
第四,梅利莎是一个打破卫星云图强度分析规律的飓风。因为梅利莎超级稳定的增强和积累,它的云图完美程度、稳定程度超过了大西洋上的所有飓风,太平洋上的几乎所有台风,仅次于2013年超强台风海燕。按照德沃夏克卫星云图定强技术,它的强度指数已经达到强度表的最上端,应该给与170kt甚至更高的强度,也就是一分钟平均风速87.5米/秒。
但根据飞机实测结果,它的强度一直都远比卫星云图定强要低,中心附近1分钟平均风速长期在77米/秒以下,直到登陆前才提升到82米/秒左右。当然,这个强度也可以坐稳2025年全球风王,但和它的云图表现完全不匹配,可谓颠覆了卫星云图强度分析法的认知。
为什么梅利莎会有如此特点?这当然非常复杂,但有一个原因不可忽视,那就是在梅利莎到来之前,牙买加以南的加勒比海海温超过31度、局部32度,远远超过历史正常值;与此同时暖水极其深厚,50米深海水仍然超过30度。
正因为此,梅利莎进入了一个海水热量几乎取之不尽、用之不竭的超级暖核,再怎么造都能加强,虽然由于速度慢高压弱,梅利莎只有热力能量没有动力能量,所以风速比云图表现要偏低,但梅利莎一直加强到了登陆牙买加的最后一刻,给登陆地带去了深重灾难。
目前传出的少量视频显示,牙买加西南部沿海到处都是残垣断壁,已被狂风、风暴潮和洪水摧毁,而在当地的一位追风人已经十多个小时没有传出任何信息。
在加勒比海暖水发癫的同时,我国附近的西北太平洋海温也大幅偏高,与此同时菲律宾以东洋面,我国南海热带云团、台风胚胎活动非常活跃。在南海台风胚胎的影响下,这几天海南、广东西部、广西南部阵雨频繁,而越南出现特大暴雨,顺化白马山24小时雨量达到1739毫米,仅次于我国台湾阿里山,是1996年9608号台风暴雨以来亚洲最大的特大暴雨。
而接下来,西北太平洋上的台风胚胎98W有可能加强为25号台风海鸥,太平洋深处还可能有新台风胚胎发展。我们提醒,目前菲律宾以东洋面海洋能量极为充沛,虽然目前新台风的强度有很大不确定性,但11月的西北太平洋仍有产出超强台风甚至风王的可能性,请华南沿海的朋友可以适当关注台风胚胎动向,11月上旬后期,也可能需要做好防台准备。
下载看天App,随时掌握天气情况
相关文章
红与白,争艳还是共舞?BY2这组刷屏的“双生花”闺蜜照,用极致对比色拍出了女性情谊最动人的张力——原来真正的闺蜜,既是彼此的镜子,也是互补的光影。图片...
2025-10-30 0
本篇文章给大家谈谈“十大纸尿裤品牌榜,以及10大纸尿裤品牌”对应的知识点,希望对各位有所帮助,不要忘了收藏本站喔。 世界十大最贵的纸尿裤 1、帮宝适(...
2025-10-30 0
本篇文章给大家谈谈“除甲醛十大品牌包包,以及除甲醛包什么牌子好”对应的知识点,希望对各位有所帮助,不要忘了收藏本站喔。 皮包有味道怎么去除 1、为了减...
2025-10-30 0
正义网记者10月29日从最高人民检察院获悉,贵州省卫生健康委员会原党组成员、副主任,贵州省疾病预防控制局原党组书记、局长田艳(副厅级)涉嫌受贿一案,由...
2025-10-30 0
今天给各位分享法库十大磁砖品牌的知识,其中也会对法库瓷砖哪家好进行解释,如果能碰巧解决你现在面临的问题,别忘了关注本站,现在开始吧!法库瓷砖都有哪些品...
2025-10-30 2
河北一女子曹某某因遭受家暴,在驾车逃离现场时致丈夫身亡。10月29日,据现代快报,该案二审将于10月31日上午,在石家庄市中级人民法院开庭审理。29日...
2025-10-30 5
近几个月的黄金市场,从一路飙升到急转直下,金价的剧烈波动不仅改写了无数投资者的收益曲线,更让一批加杠杆入场的炒家陷入两难。曾经躺着赚钱的香饽饽,为何突...
2025-10-30 4
爱否科技2025-10-27 22:13:09近日,REDMI 官方正式发布了 REDMI K90 系列新机,首发 K90、K90 Pro Max 两...
2025-10-30 3
发表评论